病理学/葡萄胎

来自医学百科

葡萄胎亦称水泡状胎块(hydatidiform mole),其病因及本质尚未完全阐明。目前多数学者认为葡萄胎是一种良性滋养层细胞肿瘤,但仍有少数学者认为葡萄胎是一种病理妊娠,可能是胚胎缺陷或胚胎早期死亡后绒毛产生继发性退变的结果。

葡萄肿的发病率有明显的地区差异,欧美国家比较少见,约为1:2000妊次,而东南亚国家的发病率约10倍于欧美国家。我国1979年全国普查发病率为290/10万。妊娠次数与葡萄胎数之比为1290:1。上海地区调查发病率为1910:1。

【病变】

肉眼观,典型的葡萄胎形状极似葡萄。由于大部或全部胎盘绒毛间质水肿而显著肿胀,形成薄壁透明囊性葡萄样物,内含清液。大小不一,直径0.5~2、3cm,它们之间有细蒂相连,形如葡萄串(图13-10)。多数病例(约70%)所有绒毛都形成葡萄状,没有胎儿或其附属物,称完全性葡萄胎(complete mole);较少数病例(约30%)部分绒毛形成葡萄状,仍有部分正常绒毛,且常伴有或不伴有胎儿或其附属物,称部分性葡萄胎(partial mole)。

葡萄胎


图13-10 葡萄胎

子宫体积增大,子宫腔中充满肿胀成葡萄状的绒毛

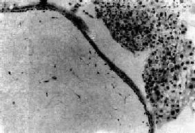
镜下,葡萄胎镜检有3个特点:绒毛因间质水肿而增大,并有水泡形成;间质血管消失或稀少;滋养层细胞有不同程度的增生。在这些特点中以滋养层细胞增生最重要。增生的滋养层细胞可为合体细胞细胞滋养层细胞,大多两者混合并存,并具有一定的异型性(图13-11)。完全性葡萄胎往往增生明显。部分性葡萄胎常为局限性、轻度增生。近年来,有不少学者企图根据滋养层细胞的增生及分化程度来分级,以预测葡萄胎患者的预后,有的作者认为根据滋养层细胞增生及分化程度可以预测恶变的机会,但也有人持否定态度。

葡萄胎


图13-11 葡萄胎

绒毛肿大,间质水肿,血管消失,滋养层上皮增生(图右侧)

【临床病理联系】

由于胎盘绒毛肿胀,子宫明显增大,致超出正常妊娠月的子宫大小。胚胎常早期死亡,故子宫虽可大如5个月妊娠,但听不到胎心音。由于滋养层细胞显著增生,胎盘激素分泌显著增多,其中以绒毛膜促性腺激素增多意义最大,能反映肿瘤的生长状态。葡萄胎一经确诊后应立即予以清除,大多数患者经彻底清宫后即可痊愈。约15%可恶变为侵蚀性葡萄胎,3%恶变为绒毛膜癌。部分性葡萄胎的恶变率很低。

参考[编辑 | 编辑源代码]